В Івано-Франківську вулицю Січових Стрільців планують зробити односторонньою від Незалежності до Гетьмана Мазепи. Також хочуть облаштувати виділену смугу для громадського транспорту та велосипедистів по всій протяжності, пише КУРС з посиланням на заступника міського голови Михайла Смушака.

За його словами, це дозволить автобусам рухатися без постійних заторів. Разом із фахівцями ТОВ «Урбан прогрес» вдалося змоделювати різні варіанти організації руху.



Наразі на вулиці Січових Стрільців дорожній рух організований так:
- з вул. Є. Коновальця праворуч на вул. Січових Стрільців можуть їхати лише автобуси (так звана контрсмуга громадського транспорту);
- на іншій частині (від Шашкевича до Шевченка) діє виділена смуга для автобусів у зворотному напрямку).
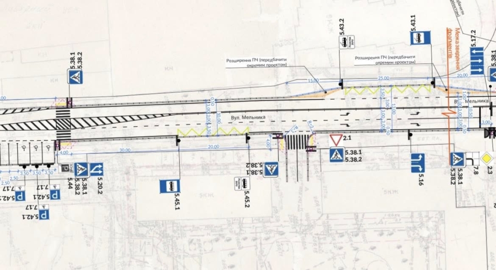
Маршрути автобусів, які зараз повертають з Коновальця на Січових Стрільців праворуч, пропонують змінити. Таких маршрутів десять: 41, 21, 30, 45, 48, а також так звані сільські – 47 (Братківці), 56 (Чукалівка), 57 (Березівка), 58 (Камінне), 59 (Радча). Для них пропонується новий напрямок: Є. Коновальця – Сахарова – Мельника – Незалежності – далі по існуючому маршруту.
На вул. Мельника облаштують дві зупинки громадського транспорту – біля Пенсійного фонду та біля «Квіткового ринку». Смушак наголошує, що для багатьох пасажирів це навіть буде зручніше.
“Загалом, від такого рішення, на нашу думку, виграють усі, адже ми отримаємо швидший і безпечніший рух без заторів громадського транспорту по вул. Січових Стрільців. Виграють також і автомобілісти – вони не будуть стояти в одному заторі з автобусами, яких на Січових Стрільців проїжджає чи не найбільше”, – каже Смушак.
Також він уточнив, що схему організації дорожнього руху ще допрацьовують.
Нагадаємо, у Франківську на Січових Стрільців встановлять два нові світлофори.


